Photo By/Credit
USFWS
Date Shot/Created
09/13/2021Media Usage Rights/License
Public Domain
Image
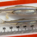
Delta smelt typically reach a length of 5 to 7 centimeters, or 2 to 3 inches, and have a steely blue sheen on their sides, which gives them an almost translucent look.
Ecosystem
River/stream
