When you think of the arid high mountain deserts of eastern Oregon, wild rivers full of fish and freshwater mussels may not be the first things that pop into your mind. But the Donner und Blitzen River is a stronghold for native species such as the imperiled western ridged mussel and the redband trout. The Donner und Blitzen River starts on the western slopes of the Steens Mountain and travels the refuge where it drains into the Malheur Lake wetlands. The river is important for conservation, agricultural irrigation, and recreation. Conservation partners from across Harney County recently came together to move over 8,000 western ridged mussels and over 6,500 fish to make way for the removal and replacement of Dunn Dam on the river within Malheur National Wildlife Refuge.
In Harney County, the Oregon State Legislature has funded $2.2 million in wetland and habitat restoration projects to improve stream health and connectivity in the Harney River basin. This investment leveraged partnerships like the one to replace the Dunn Dam on the Donner und Blitzen River. Ducks Unlimited was able to use North American Wetland Conservation Act dollars to fund the project. The nearly 100-year-old Dunn Dam was replaced with a rock weir structure that will hold the water back at a constant level, depending on flows. This will improve fish passage fish passage
Fish passage is the ability of fish or other aquatic species to move freely throughout their life to find food, reproduce, and complete their natural migration cycles. Millions of barriers to fish passage across the country are fragmenting habitat and leading to species declines. The U.S. Fish and Wildlife Service's National Fish Passage Program is working to reconnect watersheds to benefit both wildlife and people.
Learn more about fish passage , water quality and flow, creating even better mussel habitat.
A lot goes into planning a dam removal, including protecting plants and animals that might be impacted by the construction work. For the western ridged mussels in the Donner und Blitzen River, that meant being salvaged and relocated to an upstream part of the river where they would not be impacted by the construction, which required the river to be diverted to temporarily dry out the existing riverbed.
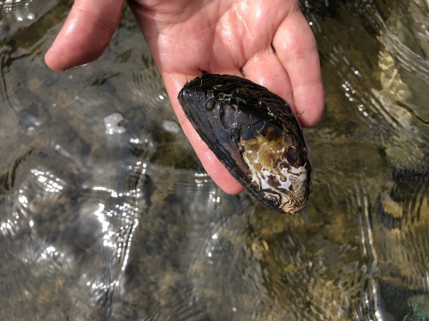
Staff from the refuge and U.S. Fish and Wildlife Service’s Ecological Service’s program joined volunteers from the High Desert Partnership, Xerces Society, Burns Paiute Tribe, Ducks Unlimited, and the Friends of Malheur NWR to collect as many western ridged mussels as possible before the river was diverted. Over two weeks, mussels were gently removed from the river substrate (the earthy material that collects at the bottom) and placed into clean coolers, a damp towel between each layer of mussels in the cooler before being moved to their new homes elsewhere in the river.
Mussels use their foot to dig into the substrate and can be tough to remove. Patience is required to dig out each mussel by hand so as not to damage their sensitive tissue. For staff and volunteers, this meant days of hard work, crouched in the water sifting through mud. As each mussel was found, it was placed in a floating bag until there were enough to be moved to the cooler.
After relocating as many mussels as possible, the next steps of removing the dam called for the river to be diverted around the crumbling structure. As the section of the river was dewatered, fish would be left behind and stranded once any remaining water dried.
Staff and volunteers used a safe technique called electrofishing – a mild electric current is used to stun fish so they can be collected and transported to another section of the river, away from the construction. Staff and volunteers waited on the bank as the river was diverted, then jumped into action. Wading into the remaining river water, they used backpack electrofishers to herd the fish into one place and then nets to catch them and put them in buckets of water with aerators (which provide the fish the oxygen they need while being transported). Over 6,500 fish from over 10 species, including ridge lipped suckers, red sided shiners, tui chub, speckled dace, mountain whitefish, as well as several non-native, invasive species invasive species
An invasive species is any plant or animal that has spread or been introduced into a new area where they are, or could, cause harm to the environment, economy, or human, animal, or plant health. Their unwelcome presence can destroy ecosystems and cost millions of dollars.
Learn more about invasive species that were removed. The fish were moved by bucket and truck to their new home elsewhere in the river.
Fish play an important role in western ridged mussels lifecycle as hosts, acting as live incubators for mussel larvae. Male mussels release sperm into the water and female mussels capture the sperm and store it in the marsupium, an area in their gills, to develop embryos. Once they grow into larvae, the mussel will release them in a long, white gelatinous mass. As it drifts through the river, the mass dissolves and larvae attach themselves to the gills of host fish. Now known as glochidia, these teensy little mussels will remain on their host fish until they grow large enough to fall off and bury themselves in the river substrate. Filter feeders, they also filter sediment, microbes, bacteria, and even pollutants out of the water. That and their relatively long life (40 to 60 years) and sedentary nature make them reliant on clean, moving water. Narrower on one side than the other, these yellowish brown, brown or black mussels can grow up to five inches long!
Part of the most at risk mussel families, the western ridged mussels have been extirpated or had their populations greatly reduced throughout their former range. Found from Canada down through California, the once widely distributed species is at risk throughout its shrinking historic range. Declining water quality, loss of habitat, and climate change climate change
Climate change includes both global warming driven by human-induced emissions of greenhouse gases and the resulting large-scale shifts in weather patterns. Though there have been previous periods of climatic change, since the mid-20th century humans have had an unprecedented impact on Earth's climate system and caused change on a global scale.
Learn more about climate change – all have impacts on the species ability to survive. For the Great Basin species of red band trout, they face similar habitat loss challenges. Places such as Malheur National Wildlife Refuge are hedges against these threats to wildlife and their habitat. They help recover endangered species, give migratory birds a place to rest, forage and nest, and provide places for future generations to connect with the nature of America.





