Kingman Reef Refuge

Photo By/Credit

USFWS, Pacific Islands

Date Shot/Created
11/10/2021
Media Usage Rights/License
Public Domain
Image
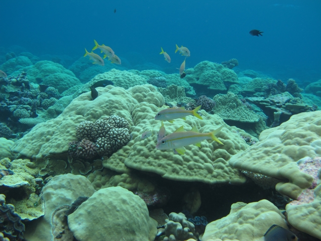
A coral reef teems with life at Kingman Reef National Wildlife Refuge in the Pacific.
Ecosystem
Marine
Subject tags
Corals
Fishes
Marine ecology